LA FLAK DU TERRAIN D'AVIATION DE ST BRIEUC

 

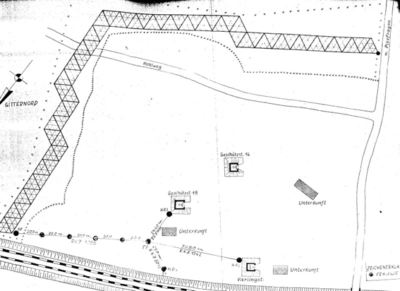
Sur l'aérodrome de Saint Brieuc, il y avait au moins deux points importants de DCA, un au sud "flak sud" situé près du lieu-dit Le Bignon. Elle était composée de 3 pièces et de trois abris et entouré de champs de mines.

Au nord de l'aérodrome au lieu-dit Berrien à Saint-Brieuc, il était situé le point d'appui Fritz. De ce point ils avaient une vue sur toute la zone. Il ne reste, aujourd'hui, plus aucune trace des constructions de l’époque sur ce lieu. Il semblerait que des pièces étaient également placées dans

l'enceinte de l'aérodrome. C'est notamment le cas d’une cuve qui est située juste en face du poste de commandement de la Croix Cholin et que l’on peu encore voir aujourd’hui.

Flak
flak

Plan de la FlaK sud
Source : Nicolas41, d'après les plans de minages, de Fort Montbarey à Brest.